-
Actuaciones para la mejora de los caminos escolares y correcciones en el carril bici.
-
Actuaciones en la Calle Bielsa, Avda Puente del Pilar y Paseo Longares.
Pequeñas actuaciones que mejoren la calidad de nuestro Barrio, encaminadas a la mejora del los caminos escolares y a corregir las deficiencias existentes en los carriles bicis del Barrio, son demandas que desde la Asociación venimos solicitando y que se van a realizar en los entornos del Hilarión Gimeno y Marie Curie.
Generalidades:
Desde el área de urbanismo y sostenibilidad, de forma coordinada, la Agencia de Medio Ambiente y Sostenibilidad y el Servicio de Movilidad Urbana, trabajan en el desarrollo del Proyecto STARS – Camino Escolar en distintos centros educativos de la ciudad.
Dicho proyecto, además de combatir el sedentarismo, aumentar la autonomía y disminuir las emisiones contaminantes de los coches, “STARS – Camino Escolar” conlleva mejoras en la vía urbana, surgidas a través de procesos participativos, para hacer un barrio más amable.
Con el objetivo de mejorar la seguridad y la accesibilidad de las rutas escolares, se plantea la realización de mejoras urbanísticas o correcciones en el entorno próximo a los colegios participantes, para realizar dichas rutas a pie o en bici.
Por ello, en el Barrio Jesús, se van a realizar próximamente, trabajos de corrección de pequeñas discontinuidades ciclistas que garanticen la conexión dentro del Barrio Jesús y a la mejora de los caminos escolares.
Actuaciones
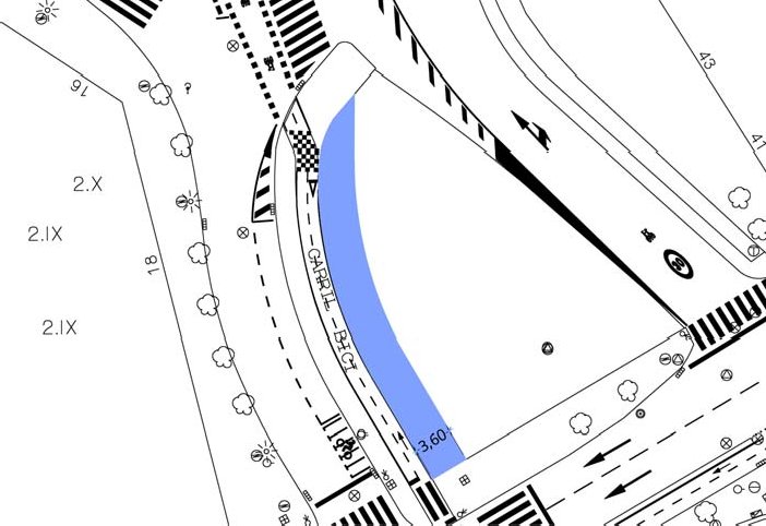
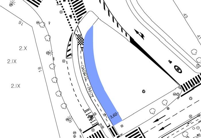
1.- Acera en isleta de Calle Bielsa frente a Casa Solans.
Problema detectado: El itinerario peatonal es incómodo dado que, actualmente la conexión del paso de peatones del final del bulevar y el de Avenida Cataluña se efectúa a través de la isleta de la Calle Bielsa, frente a Casa Solans, a través de un tramo de acera estrecho que les obliga a cruzar dos veces el carril bici situado junto a ella.
Medida propuesta: Se plantea ejecutar un nuevo tramo de acera con anchura adecuada en la otra margen del carril, ocupando parte del jardín que conecte los dos pasos de peatones mencionados. Se propone que la nueva acera cuente con una anchura aproximada de 3,60 m, esté encintada con bordillo jardinero en la margen más próxima a la zona ajardinada, y se utilicen las mismas baldosas del resto de tramos de acera de la mediana. La intervención requiere modificar el riego.
- Estado Actual Calle Bielsa
- Actuacion Propuesta
2.- Conexión ciclista de Calle Bielsa y Avenida Puente del Pilar – José Oto.
Problema detectado: El itinerario ciclista entre Calle Bielsa y Avenida Cataluña con Avda. Puente del Pilar está interrumpido junto a Casa Solans. Dicho itinerario facilitaría que los niños puedan acudir en bici al cole.
Medida propuesta: Se plantea ejecutar un pequeño tramo de carril bici en la calzada de Avenida Puente del Pilar y realizar una intervención en el acceso a la zona verde para que los ciclistas puedan acceder a la Calle Asín y se cierre el itinerario.
- EstadoActual Avda Puente del Pilar
- Actuación Propuesta
3.- Corrección de las discontinuidades y mejora de la vía ciclista de Paseo Longares y conexión de éste con Calle Cosuenda, para su conexión con Marqués de la Cadena y Paseo de la Ribera.
Problemas detectados: En la actualidad se está ejecutando el carril bici de Calle Cosuenda, que conecta con Avda. Marqués de la Cadena y Paseo de la Ribera, y, mientras no se actúe en Paseo Longares, no va a haber conexión con Calle Cosuenda.
Por otro lado la vía ciclista a lo largo del Paseo Longares está interrumpida, ya que los distintos segmentos del bulevar están conectados entre sí mediante pasos de peatones pero no de cruces ciclistas.
En algunos tramos inicial y/o final de cada uno de estos segmentos, el pavimento de la vía ciclista está deteriorado.
En el segmento de bulevar situado entre la Calle de Mainar y el Parque de Tosos, la trayectoria de la vía ciclista está ocupada por algunos árboles que provocan estrechamiento y modificación del eje ciclista importantes.
Todo lo anterior favorece que este carril, hoy en día, apenas se utilice.
Medida propuesta: Teniendo en cuenta la próxima apertura del carril bici de la Calle Cosuenda, se ve la necesidad de conectarlo con el de Paseo Longares, así como de actuar en este eje ciclista situado en la zona verde de dicho paseo, corrigiendo las discontinuidades y los desperfectos del pavimento y retirando y/o podando los árboles de la traza o próximos a ella, para dar utilidad a esta vía y asegurar una circulación ciclista segura y cómoda. Los árboles retirados, siempre que sea posible, serán transplantados en otras ubicaciones.
- Estado Actual Ps Longares
- Actuación Propuesta








Buenas tardes, ¿se sabe si van a seguir embaldosando el resto de la parte de central de calle Bielsa?, se aprobaron en los presupuestos participativos.
Hola, por lo que sabemos y debido a que no han aprobado los presupuestos municipales muchas de las propuestas aprobadas en los presupuestos participativos no sabemos con certeza si se van a realizar. Estamos pendientes de que nos confirmen si en concreto esta actuación se va a realizar.